
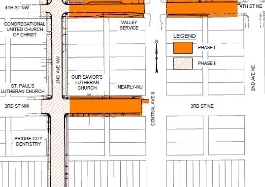
Construction Notice – Paving Improvement District 128 – 2nd Ave NW, 4th St NW/NE and 3rd St NW Street Reconstruction
Phase 2: 2nd Ave NW from 2nd St NW to 4th St NW continues to be closed. This closure is anticipated to be in effect until late October.
No detour route for motorized vehicles will be provided. Signing for temporary pedestrian access routes will be provided for the duration of the project.
Beginning Friday, October 18th, 2024, the intersection of 2nd Ave NW and 2nd St NW will be closed for paving. This closure is anticipated to be in effect until Thursday, October 24th, 2024.
Updated maps for all road closures will be posted on the City of Valley City’s webpage https://www.valleycity.us/engineers when they are taking affect. If you have any questions regarding the project, please contact Chad Petersen, KLJ Project Manager, at (701)-845-4980.









