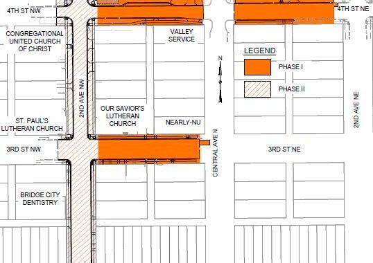
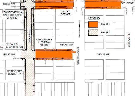
Work on Sanitary Sewer Improvement District No. 72 began in 2025 and has now resumed in 2026. Proposed work includes relining of existing clay tile sanitary sewer mains and rehabilitation of existing brick sanitary manholes. A map showing the locations of the work is included. Streets will remain open during this work with minor delays.
In addition, a point repair will be completed in the alley behind the old NuCara Pharmacy building. This work will require the alley to be closed starting Monday, April 27th for approximately a week for the excavation and repairs to be made. The alley will be surfaced temporarily with gravel until concrete can be placed later in May. Dumpsters will be temporarily relocated to the streets by Valley City Public Works. Additional information regarding future closures will be posted at a later date.
If you have any questions regarding the project, please contact KLJ at (701)845-4980.













